File #C260 – Lots on Geskakmina Lake (Price Reduced 03-2026)

Remote Fly-In Properties Waterfront Land
Property ID:
$11,750
821
Property size:
Structure: Bedrooms
Accommodation:
Heating:
Add To Wishlist
Specification
Property bedroom icon Bedrooms:
Property bathroom icon Bathrooms:
Property size icon Property size:
Property floor icon Floor:
Property total floors icon Total floors:
Property year built icon Year Built:
Property heating icon Heating:
Property accommodation icon Accommodation:
Property ceiling height icon Ceiling height:
Property parking icon Parking:
Property distance from center icon From center:
Property publication date Publication date:
Property area size icon Area size:
Property garages icon Garages:
Property garages size icon Garages size:
Property additional space icon Additional space:
Features
0. For Sale
2. Contract Pend.
3. New Listing
4. Price Reduction
5. Owner Finance
6. Road Access
7. Trail Access
8. Utilities
9. Waterfront Land
Location
Full Address: 93PFMP52+4Q
Simple Address:
ZIP Code:
Country: US
Description

C260 Brochure

C260 Plat Map & Notes

C260 Maps

C260 Approx GPS & Aerials

C260 CC&R’s

C260 Property Disclosure

Land Size:  

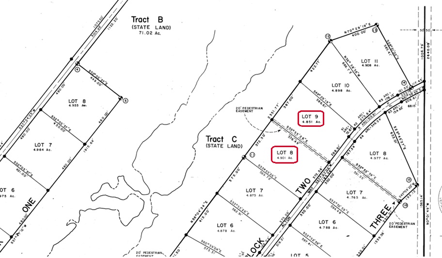
Lot 8 Block 2 = 4.901 Acres  MLS #25-14831
Lot 9 Block 2 = 4.851 Acres  MLS #25-14832
Price:  $11,750 Each
Area:  Central Interior (near Tanana River & Manley Hot Springs).
Legal Description:  Lots 8 & 9 Block 2 Geskakmina Lake Subd.; ASLS #81-55; Fairbanks Recording District; Plat #81-129
Directions:  Geskakmina Lake is located approx. 25 miles SE of Manley Hot Springs; see maps.
Access:  Floatplane; or snowmachine.
Waterfront: Frontage on Geskakmina Lake
Utilities:  None
Covenants:  Yes; no restrictions noted.
Buildings:  None
Surveyed:  Yes; corners were marked with 5/8” x 36” rebar with 1/2” aluminum caps.
Taxes:  None
Terms:  Cash; or Owner will finance sale with a minimum of 30% down payment.
Remarks:

Google Map:

DISCLAIMER: Statewide Real Estate LLC does not guarantee the completeness or the accuracy of the material furnished in this brochure. Potential buyers are strongly advised to seek professional help in determining the availability, quality and cost of water, sewageable soils, and utilities. A survey may be necessary to locate property corners; GPS coordinates are approximate. Potential buyers should independently verify the zoning requirements and permits required with the appropriate agencies to determine if the property is suitable for their intended use.

Property Tags
No Comments

Sorry, the comment form is closed at this time.

Request a showing