File #C259 – Lots overlooking Deadman Lake (Price Reduced 03-2026)

Remote Fly-In Properties Unrestricted Land
Property ID:
$14,750
838
Property size:
Structure: Bedrooms
Accommodation:
Heating:
Add To Wishlist
Specification
Property bedroom icon Bedrooms:
Property bathroom icon Bathrooms:
Property size icon Property size:
Property floor icon Floor:
Property total floors icon Total floors:
Property year built icon Year Built:
Property heating icon Heating:
Property accommodation icon Accommodation:
Property ceiling height icon Ceiling height:
Property parking icon Parking:
Property distance from center icon From center:
Property publication date Publication date:
Property area size icon Area size:
Property garages icon Garages:
Property garages size icon Garages size:
Property additional space icon Additional space:
Features
0. For Sale
2. Contract Pend.
3. New Listing
4. Price Reduction
5. Owner Finance
6. Road Access
7. Trail Access
8. Utilities
9. Waterfront Land
Location
Full Address: 93PGR2MJ+58
Simple Address:
ZIP Code:
Country: US
Description

C259 Brochure

C259 Plat Map & Notes

C259 Maps

C259 Approx GPS & Aerials

C259 CC&R’s

C259 Property Disclosure

Land Size:  

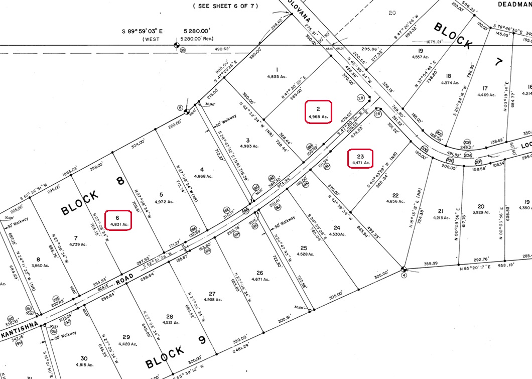
Lot 2 Block 8 = 4.968 Acres  MLS# 25-14824
Lot 6 Block 8 = 4.831 Acres  MLS# 25-14825
Lot 23 Block 9 = 4.471 Acres  MLS# 25-14826
Price:  $14,750 each
Area:  Central Interior (near Tanana River & Manley Hot Springs)
Legal Description:  Lots 2 & 6 Block 8 and Lot 23 Block 9 Deadman Lake Subd.; ASLS #81-40; Manley Hot Springs Recording District; Plat #81-6
Directions:  Deadman Lake is located approx. 22 miles SE of Manley Hot Springs; see maps.
Access:  Floatplane; or snowmachine
Waterfront: None; lots overlook Deadman Lake
Utilities:  None
Covenants:  Yes; no restrictions noted.
Buildings:  None
Surveyed:  Yes; corners were marked with 5/8” x 36” rebar w/2” aluminum caps.
Taxes:  None
Terms:  Cash; or Owner will finance sale with a minimum of 30% down payment.
Remarks:
Google Map:

DISCLAIMER: Statewide Real Estate LLC does not guarantee the completeness or the accuracy of the material furnished in this brochure. Potential buyers are strongly advised to seek professional help in determining the availability, quality and cost of water, sewageable soils, and utilities. A survey may be necessary to locate property corners; GPS coordinates are approximate. Potential buyers should independently verify the zoning requirements and permits required with the appropriate agencies to determine if the property is suitable for their intended use.

Property Tags
No Comments

Sorry, the comment form is closed at this time.

Request a showing