File #T078 – 4.5 Acres overlooking Onestone Lake (Price Reduced 02-2026)

Remote Fly-In Properties Unrestricted Land
Property ID:
$14,250
525
Property size:
Structure: Bedrooms
Accommodation:
Heating:
Add To Wishlist
Specification
Property bedroom icon Bedrooms:
Property bathroom icon Bathrooms:
Property size icon Property size:
Property floor icon Floor:
Property total floors icon Total floors:
Property year built icon Year Built:
Property heating icon Heating:
Property accommodation icon Accommodation:
Property ceiling height icon Ceiling height:
Property parking icon Parking:
Property distance from center icon From center:
Property publication date Publication date:
Property area size icon Area size:
Property garages icon Garages:
Property garages size icon Garages size:
Property additional space icon Additional space:
Features
0. For Sale
2. Contract Pend.
3. New Listing
4. Price Reduction
5. Owner Finance
6. Road Access
7. Trail Access
8. Utilities
9. Waterfront Land
Location
Full Address: 93HCWF6G+9P
Simple Address:
ZIP Code:
Country: US
Description

T078 Brochure

T078 Plat Map & Notes

T078 Maps

T078 Approx GPS & Aerials

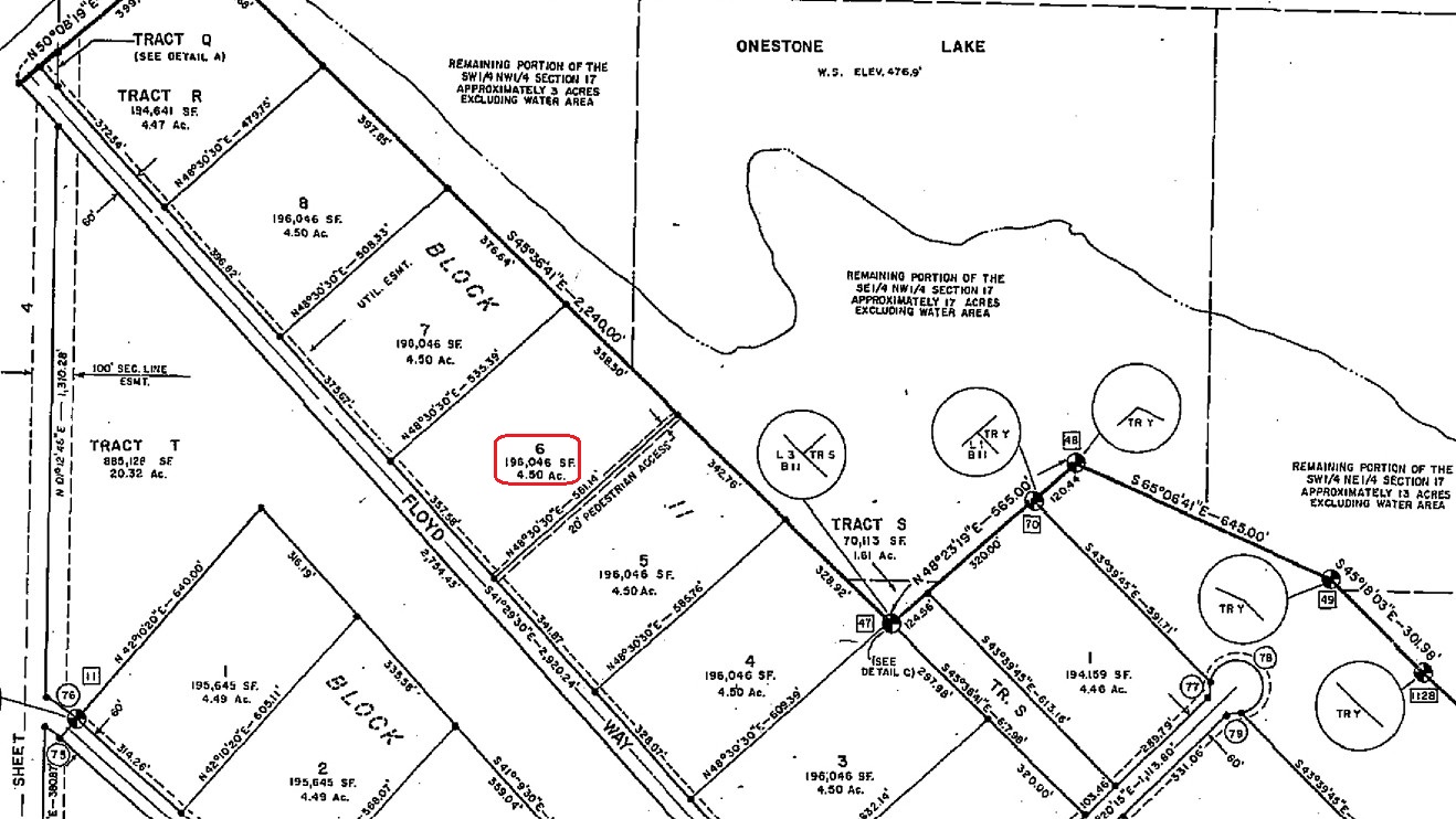
Land Size:  4.5 Acres
Price:  $14,250
Area:  Mat-Su Remote SW (Onestone Lake)
Legal Description:  Lot 6 Block 11 Shell Hills; ASLS #80-177; Anchorage Recording District; Plat #82-41
Directions:  Located off SW shore of Onestone Lake; approx 50 airmiles NW of Willow; see maps.
Access:  Float plane; snowmachine
Waterfront: A strip of state land separates lot from Onestone Lake. No wetlands noted.
Utilities:  None
Covenants:  None; unrestricted.
Buildings:  None
Surveyed:  Yes; the corners were originally marked with aluminum capped monuments.
Taxes:  Approx $81.47 yr
Terms:  Cash; or Owner will finance sale with a minimum of 30% down payment.
Remarks:  MLS #25-14339

Google Map:

DISCLAIMER: Statewide Real Estate LLC does not guarantee the completeness or the accuracy of the material furnished in this brochure. Potential buyers are strongly advised to seek professional help in determining the availability, quality and cost of water, sewageable soils, and utilities. A survey may be necessary to locate property corners; GPS coordinates are approximate.  Potential buyers should independently verify the zoning requirements and permits required with the appropriate agencies to determine if the property is suitable for their intended use.

Property Tags
No Comments

Sorry, the comment form is closed at this time.

Request a showing